Warnung vor KrokodilenJamaika nach Hurrikan "Melissa" zum Katastrophengebiet erklärt
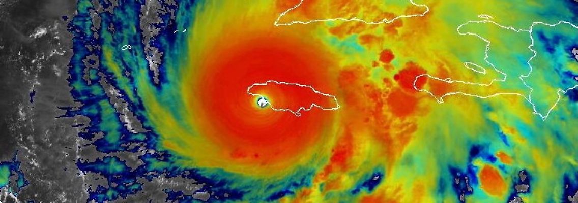
"Melissa", einer der stärksten Wirbelstürme, die je über dem Atlantik aufgetreten sind, erreicht Jamaika. Auf der Karibikinsel schwächt sich der Hurrikan etwas ab, richtet aber dennoch schwere Schäden an. Straßen sind überflutet, Dächer abgedeckt. Hunderttausende sind ohne Strom.
Der starke Hurrikan "Melissa" hat auf Jamaika Häuser und Straßen beschädigt, ganze Gebiete überflutet und mehr als 530.000 Haushalte von der Stromversorgung abgeschnitten. Angesicht der schweren Schäden erklärte die Regierung die Karibikinsel zum Katastrophengebiet. Zu möglichen Opfern wollten die Behörden noch keine Angaben machen. Es gebe aber Menschen, die aufgrund der extremen Bedingungen während des Sturms nicht mehr aus ihren beschädigten Häusern gerettet werden konnten.
"Ich habe noch keine verlässlichen Informationen über Tote, aber angesichts der Schäden durch den Hurrikan der Kategorie 5 gehen wir davon aus, dass Menschen ihr Leben verloren haben", sagte Ministerpräsident Andrew Holness dem US-Fernsehsender CNN. Nun zieht der Wirbelsturm in Richtung Kuba weiter, wo er noch in der Nacht zum Mittwoch (Ortszeit) auf Land treffen soll, wie das US-Hurrikanzentrum in Miami mitteilte. In Kuba sind der Regierung zufolge mehr als 735.000 Menschen in Sicherheit gebracht worden.
"Melissa" hatte am Dienstag Jamaika als Hurrikan der höchsten Kategorie 5 mit Windböen von bis zu 295 Kilometern pro Stunde erreicht. Der Hurrikan brachte Sturmfluten, zerstörerische Winde und heftige Regenfälle mit sich. Über Land schwächte er sich dann etwas ab.
Laut dem US-Hurrikanzentrum bewegt sich "Melissa" derzeit langsam als Wirbelsturm der Stärke 3 auf die Südostküste Kubas zu. Das Sturmsystem bringt demnach Windgeschwindigkeiten von bis zu 205 Kilometern pro Stunde mit sich.
Straßen stehen unter Wasser
Stunden nach dem Eintreffen des Hurrikans ist das gesamte Ausmaß der Schäden auf Jamaika immer noch ungewiss. Die Behörden rechnen allerdings mit schwerer Verwüstung. "Das ist eine der schlimmsten Erfahrungen, die wir je gemacht haben", sagte der Minister für lokale Verwaltung, Desmond McKenzie.
Krankenhäuser und Brücken wurden den Behördenangaben zufolge durch den Hurrikan beschädigt. Wassermassen schoben sich durch die Straßen. Der Sturm ließ Bäume und Strommasten umstürzen. Zahlreiche Straßen wurden dadurch blockiert. Die Region St. Elizabeth im Südwesten des Landes stehe "unter Wasser", sagte der Minister. Dort seien die Schäden erheblich.
"Es gibt weitreichende Schäden im Südwesten in St. Elizabeth, viele Überschwemmungen, umfangreiche Windschäden an Schulen, Krankenhäusern und Häusern", sagte Richard Thompson, Generaldirektor des Amtes für Katastrophenschutz und Notfallmanagement (ODPEM), dem Sender CNN.
"Jetzt ist nicht die Zeit, mutig zu sein"
Fast 15.000 Menschen suchten Schutz in Notunterkünften. "Jetzt ist nicht die Zeit, mutig zu sein", sagte Minister McKenzie. "Wettet nicht gegen 'Melissa', das ist eine Wette, die wir nicht gewinnen können". Die Behörden hatten nicht nur vor Sturm und Überschwemmungen gewarnt, sondern auch vor einer weiteren Gefahr: umherwandernden Krokodilen. Die Tiere könnten bei steigenden Pegelständen in Flüssen und Sümpfen in Wohngegenden vordringen, erklärte die regionale Gesundheitsbehörde Serha. Sie rief Anwohner zur Wachsamkeit auf.
Die Streitkräfte riefen neben den regulären Soldaten auch Reservisten zum Dienst ein, um bei Rettungsarbeiten zu helfen, wie die Zeitung "The Gleaner" berichtete. "Unsere Truppen, einschließlich der Reserve, werden vor Ort sein, um Hilfsmaßnahmen zu unterstützen, Gemeinden zu schützen und wichtige Versorgungsleistungen so schnell wie möglich wiederherzustellen", sagte der amtierende Militärchef O'Neil Bogle.
Die Vereinten Nationen koordinieren den Transport von Hilfsgütern über See von Barbados aus, da die Flughäfen zunächst geschlossen bleiben. "Ein Lufttransport von rund 2000 Hilfspaketen ist ebenfalls geplant, sobald die Flughäfen wieder geöffnet sind und die Wetterbedingungen Flüge zulassen", teilten die UN mit.
Wirbelsturm nimmt Kurs auf Kuba
Während der Hurrikan auf Jamaika wütete, bereitete sich auch Kuba auf den Wirbelsturm vor. Der Hurrikan werde "mit voller Wucht" bereits in der Nacht oder am frühen Mittwochmorgen (Ortszeit) auf Land treffen, sagte Präsident Miguel Díaz-Canel. Der Sturm sei einer der stärksten, wenn nicht der stärkste, der Kuba jemals getroffen habe. Am Mittwochabend soll "Melissa" schließlich in Richtung der Bahamas weiterziehen.
Tropische Wirbelstürme entstehen über warmem Ozeanwasser. Die zunehmende Erderwärmung erhöht Experten zufolge die Wahrscheinlichkeit starker Stürme. Die Hurrikansaison beginnt im Atlantik am 1. Juni und dauert bis zum 30. November. Wie der Leiter des jamaikanischen Wetterdienstes, Evan Thompson, sagte, werden die Wetterbedingungen noch in den nächsten Tagen schlecht sein, auch nachdem sich das Zentrum des Hurrikans von Jamaika entfernt haben wird.
Bereits vor dem Erreichen Jamaikas gab es aufgrund von "Melissa" Todesfälle: In Haiti und der Dominikanischen Republik kamen nach heftigen Regenfällen mindestens vier Menschen ums Leben. In Jamaika wurden bei den Vorbereitungen auf den Sturm nach Angaben des Gesundheitsministeriums drei Menschen beim Fällen von Bäumen getötet.
