Lage extrem gefährlichHurrikan "Melissa" trifft mit voller Kraft auf Jamaika

Seit Tagen zieht "Melissa" über Wasser in Richtung Jamaika. Jetzt trifft der Hurrikan mit einer atemberaubenden Windgeschwindigkeit auf Land in dem Karibikstaat. Experten befürchten verheerende Auswirkungen.
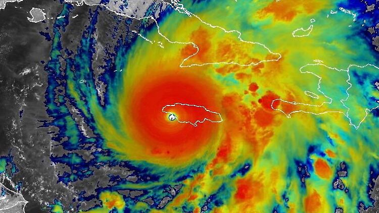
Als Hurrikan der höchsten Kategorie 5 ist der Wirbelsturm "Melissa" auf Jamaika getroffen. Mit anhaltenden Windgeschwindigkeiten von 295 Kilometern pro Stunde erreichte "Melissa" nahe der Ortschaft New Hope die Südwestküste des Karibikstaats, wie das US-Hurrikanzentrum NHC in Miami mitteilte. Es ist demnach einer der stärksten Hurrikane, die je im Atlantik aufgetreten sind. Die Lage sei extrem gefährlich und lebensbedrohlich.
Auch Regierungschef Andrew Holness rechnete mit schweren Schäden. "In dieser Region gibt es keine Infrastruktur, die einem Hurrikan der Kategorie 5 standhalten kann", sagte er.
Das Hurrikanzentrum hatte zuvor vor "katastrophalen Winden" gewarnt. Diese könnten in höher gelegenen Bergregionen noch bis zu 30 Prozent stärker sein. Im Bereich rund um das Auge des Hurrikans könnten Gebäude vollständig zerstört werden, hieß es.
"Neben den extremen Winden stellt der Sturm auch eine erhebliche Gefahr durch Regen dar. Aufgrund der langsamen Zuggeschwindigkeit von nur etwa 5 km/h wird Jamaika mit sintflutartigen Regenfällen über mehrere Stunden konfrontiert", erklärt der ntv-Meterologe Björn Alexander. "In 24 Stunden könnten zwischen 500 und 800, in einigen Gebieten sogar bis zu 1000 Liter Regen pro Quadratmeter fallen - das ist mehr als der durchschnittliche Jahresniederschlag in Deutschland."
Streitkräfte berufen Reservisten ein
Für mehrere Ortschaften in den besonders gefährdeten Küstengebieten galten Evakuierungsanordnungen. Regierungschef Holness hatte die gesamte Bevölkerung dazu aufgerufen, möglichst zu Hause zu bleiben und den Anweisungen der Behörden zu folgen.
Die Streitkräfte riefen neben den regulären Soldaten auch Reservisten zum Dienst ein, um bei Rettungsarbeiten zu helfen, wie die Zeitung "The Gleaner" berichtete. "Unsere Truppen, einschließlich der Reserve, werden vor Ort sein, um Hilfsmaßnahmen zu unterstützen, Gemeinden zu schützen und wichtige Versorgungsleistungen so schnell wie möglich wiederherzustellen", sagte der amtierende Militärchef O'Neil Bogle.
Schon vor der Ankunft des Hurrikans waren mehr als 240.000 Haushalte ohne Strom - rund 35 Prozent aller Kunden der Jamaica Public Service Company. Verantwortlich dafür waren umgestürzte Stromleitungen und Schäden an der Infrastruktur durch starke Winde. In den am stärksten betroffenen Gebieten im Südwesten des Landes wie Saint Elizabeth und Manchester waren sogar 75 Prozent der Kunden von der Stromversorgung abgeschnitten, wie der Stromanbieter mitteilte.
Bereits vor Erreichen Jamaikas sorgte "Melissa" für Tote: In Haiti und der Dominikanischen Republik kamen nach heftigen Regenfällen mindestens vier Menschen ums Leben. In Jamaika wurden bei den Vorbereitungen auf den Sturm nach Angaben des Gesundheitsministeriums drei Menschen bei Unglücken beim Fällen von Bäumen getötet.
Auch auf den Bahamas gibt es eine Hurrikan-Warnung
"Melissa" hatte sich in den vergangenen Tagen über der Karibik zu einem extrem gefährlichen Hurrikan entwickelt. Sein Zentrum bewegte sich zuletzt mit nur rund sieben Kilometern pro Stunde vorwärts. Langsam ziehende Hurrikans gelten als besonders zerstörerisch, weil sie länger über einer Region verweilen.
Den Vorhersagen zufolge wird "Melissa" Jamaika von der Südküste bis zur Nordküste durchqueren. Ebenfalls als "starker Hurrikan" werde "Melissa" später am Dienstag über den Südosten Kubas ziehen, hieß es vom NHC. Für die östlichen Provinzen Granma, Santiago de Cuba, Guantánamo und Holguín galt eine Hurrikan-Warnung. Nach Angaben der staatlichen Zeitung "Granma" verließen mehr als 119.000 Menschen wegen der drohenden Gefahr ihre Häuser.
Auch für Teile der Bahamas, die der Hurrikan am Mittwoch erreichen soll, galt eine Hurrikan-Warnung. Die Behörden bereiteten sich darauf vor, Tausende Menschen aus den besonders gefährdeten Regionen in Sicherheit zu bringen.
Tropische Wirbelstürme entstehen über warmem Ozeanwasser. Die zunehmende Erderwärmung erhöht Experten zufolge die Wahrscheinlichkeit starker Stürme. Die Hurrikansaison beginnt im Atlantik am 1. Juni und dauert bis zum 30. November.