Bilderserien
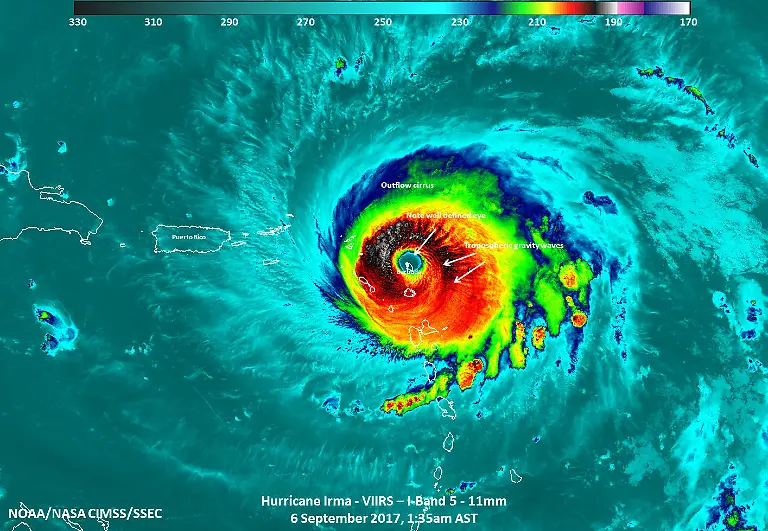
"Irma" verwüstet die KaribikDer schlimmste Hurrikan aller Zeiten
07.09.2017, 11:56 Uhr
Kaum ist Wirbelsturm "Harvey" überstanden, kommt es noch schlimmer: "Irma" ist der bisher stärkste Hurrikan in der Karibik. Auf den betroffenen Inseln hinterlässt er Chaos und Zerstörung. Die US-Behörden sind besorgt: "Irma" könnte auch sie treffen.



















