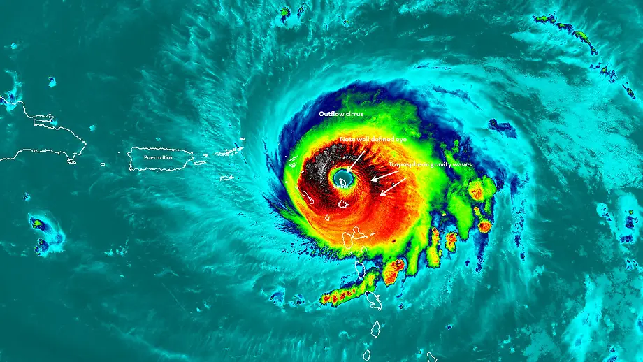
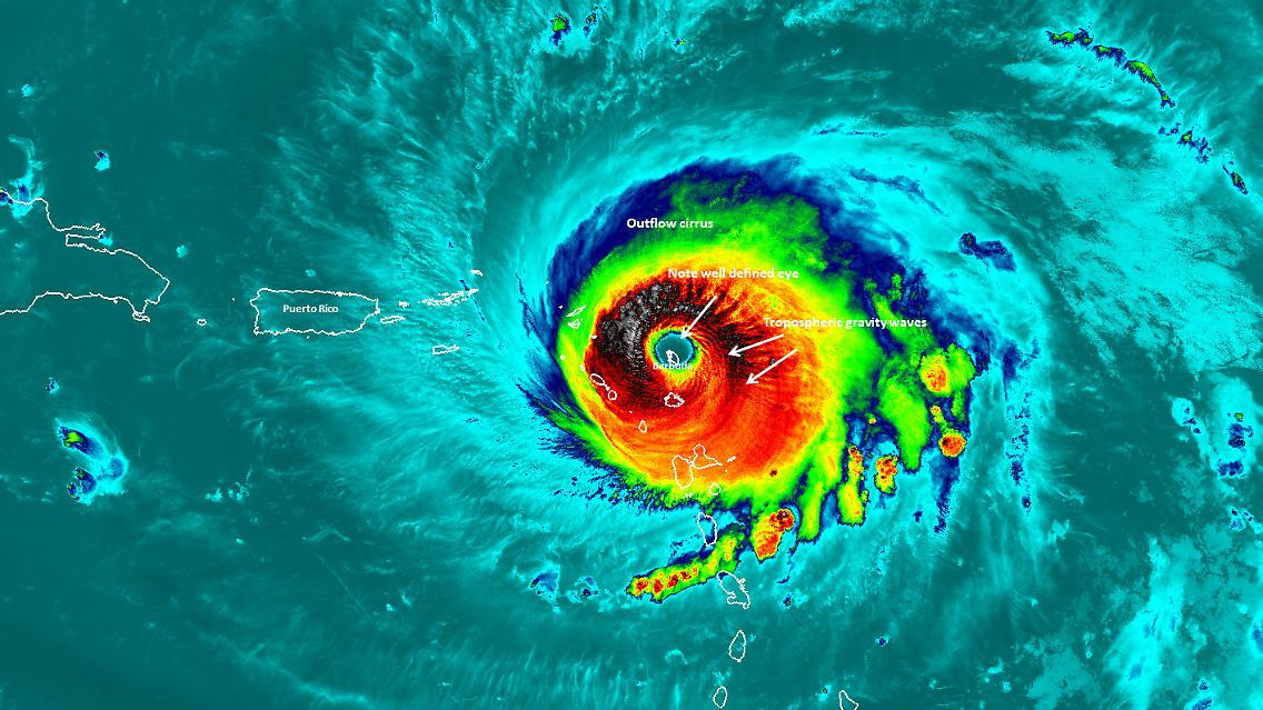
Video

Das war der Morgen bei n-tvSturmjäger liefern Bilder aus dem Herzen von "Irma"
07.09.2017, 11:01 UhrAuf dem Weg zur Arbeit die Nachrichtenlage verpasst? Was heute Morgen interessiert, erregt und bewegt hat, zeigen die Highlights der Morgennachrichten mit Ulrich von der Osten.
Topvideos