Mindestens zwei ToteStarker Taifun trifft auf Japan

Ein außergewöhnlich starker Taifun sucht Japan heim. Just am Tag der Wahl zum Unterhaus des nationalen Parlaments überzieht er das Inselreich mit heftigem Regen und starken Winden. Es gibt Todesopfer.
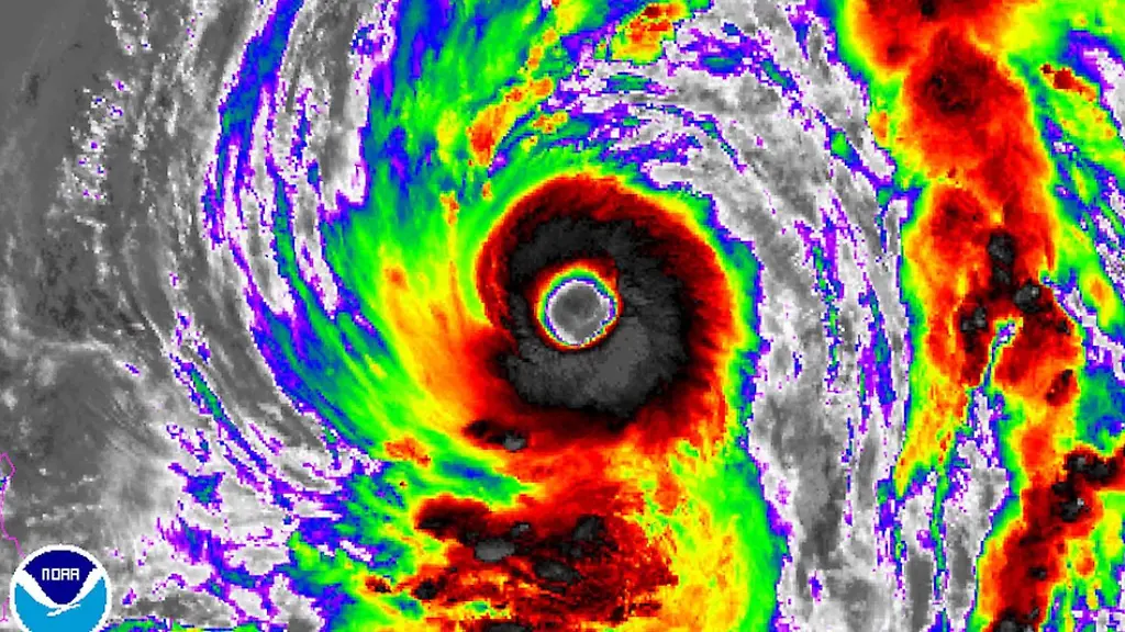
Ein außergewöhnlich großer und starker Taifun hat in Japan mindestens zwei Menschen in den Tod gerissen und weite Gebiete des Inselreiches mit Sturmböen und peitschendem Regen überzogen. Der Wirbelsturm "Lan" verlor zwar im Verlaufe des Sonntags etwas an Kraft, drohte in der Nacht zu Montag (Ortszeit) von Süden kommend aber auf die Pazifikküste der Hauptinsel Honshu zu treffen, wo auch die Hauptstadt Tokio liegt. Die nationale Wetteragentur warnte die Bevölkerung vor Erdrutschen, angeschwollenen Flüssen und hohem Wellengang.
Wegen des Taifuns verzögert sich in einzelnen Regionen laut Medien die Auszählung der Stimmzettel für die Parlamentswahl vom Sonntag voraussichtlich bis zum folgenden Tag. Der Autobauer Toyota lässt die Bänder in allen seinen Montagewerken am Montagvormittag (Ortszeit) stehen. Mehr als 250 Flüge wurden gestrichen, rund 26.000 Passagiere waren davon betroffen.
Einzelne Gemeinden rieten ihren Bürgern, sich in Notunterkünften in Sicherheit zu bringen. In der südwestlichen Stadt Fukuoka starb ein Fußgänger, als ein Baugerüst durch den starken Wind umgerissen wurde. In der westlichen Provinz Yamaguchi ertrank ein 70 Jahre alter Mann. Weil sein Boot einen Motorschaden hatte, war er laut Medien ins Wasser gesprungen, um das Seil eines anderen Schiffes zu ergreifen. Seine Leiche wurde später tot an einem Strand gefunden.
Der Taifun bewegte sich am Sonntagabend mit Windgeschwindigkeiten nahe dem Zentrum von noch bis zu 216 Kilometern in der Stunde mit einem Tempo von 40 Kilometern in der Stunde in nördliche Richtung voran. Der inzwischen 21. Taifun der Saison soll auf der Pazifikseite Japans Richtung Norden schnell durchziehen und nach Prognose der Wetteragentur am frühen Dienstag über dem Meer im Norden abklingen. Der Bahnverkehr wurde ebenfalls behindert. Einige Expresszüge, unter anderem von und nach Tokio, fielen aus. Am Montag dürfte auch der morgendliche Berufsverkehr in der Hauptstadt beeinträchtigt werden.