Video

Tausende Menschen suchen SchutzAktuell stärkster Sturm der Welt wirbelt über Westpazifik
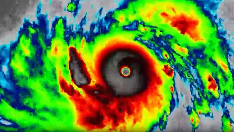
15.04.2026, 19:59 UhrDer Supertaifun "Sinlaku" wirbelt den Westpazifik kräftig durcheinander. Auf den Marianeninseln suchen Tausende Menschen Schutz vor dem Wirbelsturm, der Windböen von bis zu 260 Kilometer pro Stunde erreicht. Es ist der weltweit stärkste Sturm seit Oktober des vergangenen Jahres.
Topvideos