Video

"Dieser Sturm ist lebensgefährlich"Hurrikan "Hermine" trifft auf Florida
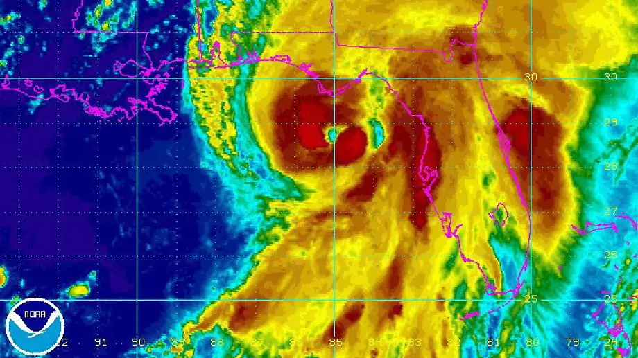
02.09.2016, 07:39 UhrErstmals seit elf Jahren trifft wieder ein Hurrikan auf die Küste von Florida. "Hermine" hat über dem Atlantik Kraft getankt und tobt sich mit Windgeschwindigkeiten von 120 km/h aus. Die Behörden warnen die Bevölkerung eindringlich und rufen in 51 von 67 Bezirken des US-Bundesstaates den Notstand aus.
Topvideos