Wissen

Heiße Entdeckung Vulkan in 5000 Metern Tiefe

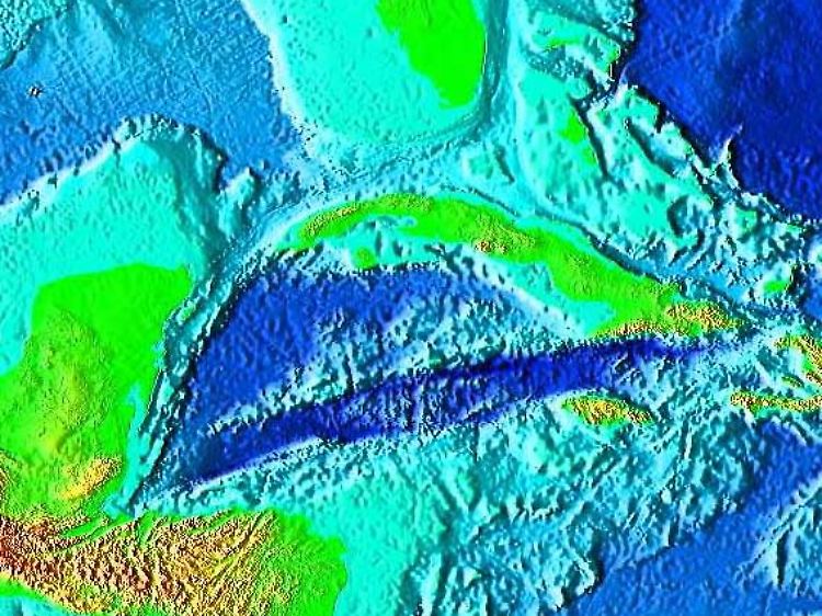
Die Darstellung zeigt das Relief des Kaimangrabens.

Die Darstellung zeigt das Relief des Kaimangrabens.

Britische Forscher haben in rund 5000 Metern Tiefe den bislang tiefsten Unterwasser-Vulkanschlot entdeckt. Mit einem ferngesteuerten Tauchroboter stießen die Wissenschaftler vom National Oceanography Center (NOC) aus Southampton (Großbritannien) im Kaimangraben in der Karibik auf die sogenannten Schwarzen Raucher, wie das Institut mitteilte. Aus ihnen strömt Tiefenwasser – heiß genug, um Blei zu schmelzen. Die neu entdeckten Schlote liegen etwa 800 Meter tiefer als bisher entdeckte Schwarze Raucher.

Solche Gebilde wurden zum ersten Mal vor etwa 30 Jahren im Pazifik entdeckt. Die meisten von ihnen liegen in einer Tiefe zwischen 1600 und 3200 Metern. Im Untergrund erhitzen vulkanische Schichten Wasser, das mit hoher Temperatur aus dem Boden steigt. Die im Wasser gelösten Verbindungen bilden dann die Schlote. In deren Umgebung leben zahlreiche hoch spezialisierte Bakterien und Würmer. Der Kaimangraben ist den Angaben zufolge die tiefste unterseeische vulkanische Tiefseerinne.

Quelle: ntv.de, dpa

Newsletter
Ich möchte gerne Nachrichten und redaktionelle Artikel von der n-tv Nachrichtenfernsehen GmbH per E-Mail erhalten.
Nicht mehr anzeigen