Wissen

Überträger einer Tropenkrankheit Raubwanzen breiten sich in USA aus

Sie wird die "küssende Wanze" genannt: Raubwanzen, die Chagas übertragen können, beißen den Menschen an Mund und Augen.

Sie wird die "küssende Wanze" genannt: Raubwanzen, die Chagas übertragen können, beißen den Menschen an Mund und Augen.

(Foto: CDC/World Health Organization/Wikipedia/gemeinfrei)

Selbst lange nach der Infektion sind die Symptome nur selten sichtbar, doch womöglich kommt es irgendwann zum Tod durch Herzversagen: Chagas ist eine Krankheit, die bislang hauptsächlich in Südamerika auftrat. Nun breitet sie sich aus - durch Wanzen.

Ein kleiner Stich, ein kurzes Kratzen: Den Biss einer Raubwanze bekommt man nur selten mit. Dabei könnte die "küssende Wanze" die Tropenkrankheit Chagas in sich tragen. Obwohl die manchmal tödliche Krankheit hauptsächlich in Latein- und Südamerika auftritt, häufen sich auch im Süden der USA die Chagas-Patienten. Schon 2009 waren nach einer Statistik der US-Seuchenschutzbehörde CDC mehr als 300.000 Menschen infiziert, neuere US-weite Zahlen sind offiziell nicht verfügbar. Da US-amerikanische Forscher erst vor Kurzem begannen, die Ausbreitung der Krankheit zu untersuchen, ist auch eine Prognose schwierig. Die Hinweise, Chagas nicht zu unterschätzen, häufen sich aber.

Chagas ist so gefährlich, weil die Symptome selbst lange nach der Infektion nur selten sichtbar werden. Nach Angaben der Weltgesundheitsorganisation (WHO) kommt es in den ersten zwei Monaten nach der Übertragung bei weniger als 50 Prozent der Menschen zu Anzeichen wie Fieber, Kopfschmerzen oder geschwollenen Lymphdrüsen. 30 Prozent der Träger des Erregers erleiden langfristig Herzprobleme, 10 Prozent Nerven- oder Verdauungsprobleme. In den schlimmsten Fällen kann es selbst Jahre später durch Herzversagen zum plötzlichen Tod kommen.

Bisse an Mund und Augen

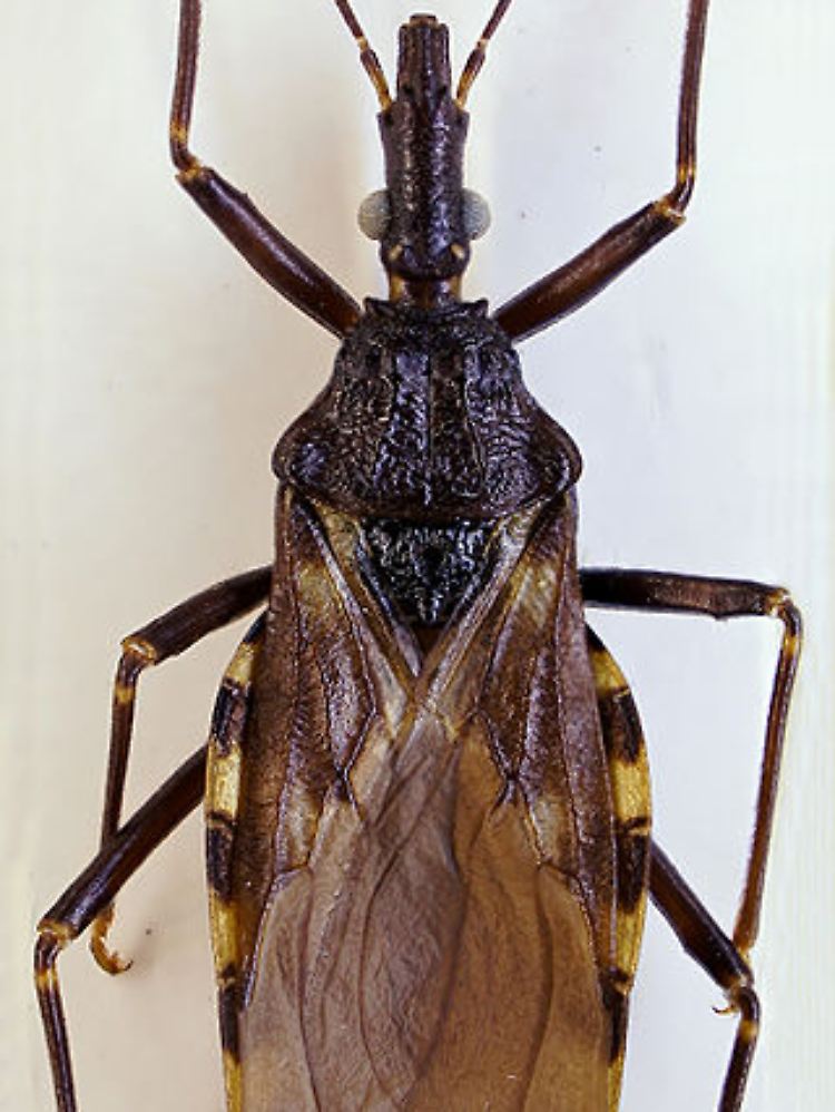
Übersehen kann man sie nicht: Die übertragenden Raubwanzen sind drei bis vier Zentimeter groß. Aber sie schlagen zu, wenn der Mensch schläft.

Übersehen kann man sie nicht: Die übertragenden Raubwanzen sind drei bis vier Zentimeter groß. Aber sie schlagen zu, wenn der Mensch schläft.

(Foto: Bärbel Stock/Wikipedia/CC BY-SA 3.0 de)

Die US-Seuchenschutzbehörde tut sich mit der Erfassung der Betroffenen schwer. Ihre wahre Zahl könnte viel höher sein, als die sechs Jahre alte Erhebung vermuten lässt. Denn gerade in Texas, wo bisher die meisten Chagas-Patienten registriert wurden, haben Ärzte erst vor zwei Jahren begonnen, die Fälle an Gesundheitsbehörden zu melden, wie die Zeitung "Dallas Morning News" berichtet.

Die Raubwanzen übertragen den einzelligen Krankheitserreger Trypanosoma cruzi. Sie können Menschen am Mund oder an den Augen beißen, daher auch der englische Name "kissing bug". Zudem hinterlassen sie ihren infektiösen Kot an diesen Stellen, der vor allem durch unbewusstes Reiben im Auge oder an der Wunde ins Blut gelangen kann. Zusätzlich kann die Infektion durch Bluttransfusionen, Organtransplantationen oder von schwangeren Frauen auf ihr ungeborenes Kind übertragen werden.

Nur Blutspender werden getestet

Patienten in den USA werden nur selten auf den Erreger getestet. Einzige Ausnahme: Untersuchungen von Blutspendern. Nach den Richtlinien der Arzneimittelbehörde FDA werden Spender jedoch nur ein einziges Mal auf die Krankheit getestet, sagt Richard Benjamin. Über neun Jahre überwachte er als Chief Medical Officer die Sicherheitsfragen für Bluttransfusionen beim Roten Kreuz der USA. Heute arbeitet Benjamin für das biomedizinische Unternehmen Cerus. Er empfindet das einmalige Testen als zu wenig: "Gerade in Gegenden wie Südkalifornien, Texas oder Arizona wären mehrfache Tests ratsam."

Nach Angaben der Seuchenschutzbehörde wird in den USA einer von 27.500 Blutspendern positiv auch Chagas getestet. In Texas dagegen liegt die Zahl viel höher. Nach einer Studie der Baylor Medizinuniversität in Houston ist einer von 6500 Blutspendern mit der Tropenkrankheit infiziert. Auch wenn die Zahl der in den USA infizierten Menschen steige, stammen laut Benjamin die meisten Fälle von Chagas immer noch von Immigranten aus Zentral- und Südamerika.

Selbst bei den Ärzten scheint das Wissen über Chagas gering zu sein. Melissa Nolan Garcia, wissenschaftliche Mitarbeiterin der Baylor-Universität, schätzt, dass nur etwa 40 bis 60 Prozent der Ärzte "ein wenig" über die Krankheit wissen. "Sie hören davon in der Ausbildung. Wenn der Patient dann da ist, sehen sie nur selten die Verbindung zu Chagas." Da es erst wenige Studien gebe, sei die Entwicklung der Tropenkrankheit nur schwer einzuschätzen. Doch Chagas sei in jedem Fall eine "neu auftretende Sorge".

Quelle: ntv.de, Marcus Born, dpa

Newsletter
Ich möchte gerne Nachrichten und redaktionelle Artikel von der n-tv Nachrichtenfernsehen GmbH per E-Mail erhalten.
Nicht mehr anzeigen